Ready To Find Your Car
Find daily updates from Copart auctions
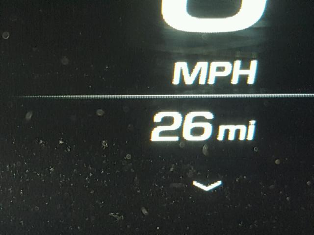
1. Lot: 30153418
| Doc Type | SALVAGE TITLE-FLOOD DAMAGE |
| Car Status | RUNS AND DRIVES |
| Odometer: | 26.0(ACTUAL) |
| Primary Damage | WATER/FLOOD |
| Secondary Damage | |
| Estimate Retail Value | 65920.0 |
| Recovery Cost | 0.0 |
| VIN | 3GTU2PEJ5HG474748 |
| Seller | |
| Notes | |
|
|
|
| Vehicle Type | AUTOMOBILE |
| Body Style | CREW PIC |
| Color | WHITE |
| Key | YES |
| Drive | 4x4 w/Rear Wheel Drv |
| Transmission | |
| Fuel | GAS |
| Engine | 6.2L 8 |
| Cylinders | 8 |
| N | Date | Auction | Participants | Auction Type | Last Bid | Sold Status | Buyer Location |
|---|---|---|---|---|---|---|---|
| 1 | 2018-04-30 17:21:49.0 | Akron-Canton / Lane - A | 916 | 23900.0 | Sold on Approval! | ILLINOIS | |
| 2 | 2018-04-16 18:08:17.0 | San Antonio-South / Lane - B | 1860 | 29750.0 | Sold on Approval! | TEXAS |
2. Lot: 48643217
| Doc Type | SALVAGE TITLE-FLOOD DAMAGE |
| Car Status | RUNS AND DRIVES |
| Odometer: | 0.0(NOT ACTUAL) |
| Primary Damage | WATER/FLOOD |
| Secondary Damage | |
| Estimate Retail Value | 65335.68 |
| Recovery Cost | 0.0 |
| VIN | 3GTU2PEJ5HG474748 |
| Seller | |
| Notes | |
|
|
|
| Vehicle Type | AUTOMOBILE |
| Body Style | CREW PIC |
| Color | WHITE |
| Key | YES |
| Drive | 4x4 w/Rear Wheel Drv |
| Transmission | |
| Fuel | GAS |
| Engine | 6.2L 8 |
| Cylinders | 8 |
| N | Date | Auction | Participants | Auction Type | Last Bid | Sold Status | Buyer Location |
|---|---|---|---|---|---|---|---|
| 1 | 2018-03-08 16:38:11.0 | Shreveport / Lane - A | 2998 | 29250.0 | Sold on Approval! | TEXAS | |
| 2 | 2018-03-06 02:05:22.0 | Fontana / Lane - B | 272 | 29000.0 | Sold on Approval! | Starting Bid | |
| 3 | 2018-03-01 22:10:11.0 | Concord / Lane - A | 15582 | 29000.0 | Sold on Approval! | NEW JERSEY | |
| 4 | 2018-02-27 02:20:26.0 | Grand Rapids / Lane - A | 544 | 31750.0 | Sold on Approval! | Starting Bid | |
| 5 | 2018-02-22 17:28:31.0 | Minneapolis/St. Paul / Lane - A | 5230 | 31750.0 | Sold on Approval! | OHIO | |
| 6 | 2018-02-13 02:34:01.0 | Honolulu / Lane - A | 337 | 33250.0 | Sold on Approval! | Starting Bid | |
| 7 | 2018-02-13 02:34:01.0 | Honolulu / Lane - A | 342 | 33250.0 | Sold on Approval! | Starting Bid | |
| 8 | 2018-02-08 16:24:34.0 | Las Vegas / Lane - A | 421 | 33250.0 | Sold on Approval! | NEW JERSEY | |
| 9 | 2018-02-01 18:28:55.0 | *NCS - Pacific Region / Lane - B | 8251 | 33500.0 | Sold on Approval! | NEW JERSEY | |
| 10 | 2018-01-30 02:44:02.0 | Long Island / Lane - D | 728 | 33250.0 | Sold on Approval! | Starting Bid | |
| 11 | 2018-01-25 18:34:00.0 | Fort Worth North / Lane - A | 4414 | 33250.0 | Sold on Approval! | TEXAS |