Ready To Find Your Car

Cars Bids History

Find daily updates from Copart auctions

2005 HONDA CIVIC DX VP BLUE, 1HGES16395L008192

1. Lot: 22927610

Vehicle Details:

Doc Type SALVAGE (Ohio)
Car Status Run & Drive
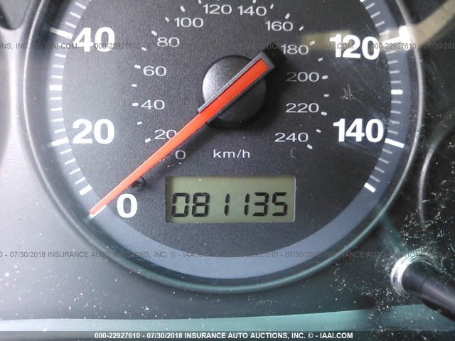
Odometer: 81135.0(ACTUAL)
Primary Damage FRONT END
Secondary Damage
Estimate Retail Value 5330.0
Recovery Cost 5.0
VIN 1HGES16395L008192
Seller State Farm Group Insurance
Notes

Vehicle Type AUTOMOBILE
Body Style Sedan 4 Door
Color BLUE
Key Key(s) Present
Drive Front Wheel Drive
Transmission Automatic Transmission
Fuel Gasoline
Engine 1.7L I4 FI SOHC 16V F4
Cylinders 4
N Date Auction Participants Auction Type Last Bid Sold Status Buyer Location
1 2018-09-17 14:10:49.0 Akron-Canton / Lane - 850.0 Sold! Elkhart-IN


Another Lots with same model and same damage

2004 HONDA CIVIC DX VP

2004 HONDA CIVIC DX VP,

Sold! Odometer: 293975.0(ACTUAL) +
Damage: FRONT END/MINOR DENT/SCRATCHES

View Auction History

2004 HONDA CIVIC DX VP

2004 HONDA CIVIC DX VP,

Sold on Approval! Odometer: 256083.0(ACTUAL) +
Damage: FRONT END/SIDE

View Auction History

2004 HONDA CIVIC DX VP

2004 HONDA CIVIC DX VP,

Sold! Odometer: 185324.0(EXEMPT) +
Damage: FRONT END/REAR END

View Auction History

2004 HONDA CIVIC DX VP

2004 HONDA CIVIC DX VP,

Sold! Odometer: 256083.0(ACTUAL) +
Damage: FRONT END/SIDE

View Auction History

2005 HONDA CIVIC DX VP

2005 HONDA CIVIC DX VP,

Sold! Odometer: 212562.0(ACTUAL) +
Damage: FRONT END/SIDE

View Auction History

Random auction lots from previous week