Ready To Find Your Car

Cars Bids History

Find daily updates from Copart auctions

2013 LINCOLN MKX WHITE, 2LMDJ6JK5DBL30612

1. Lot: 38430647

Vehicle Details:

Doc Type CERT OF TITLE-SALVAGE
Car Status RUNS AND DRIVES
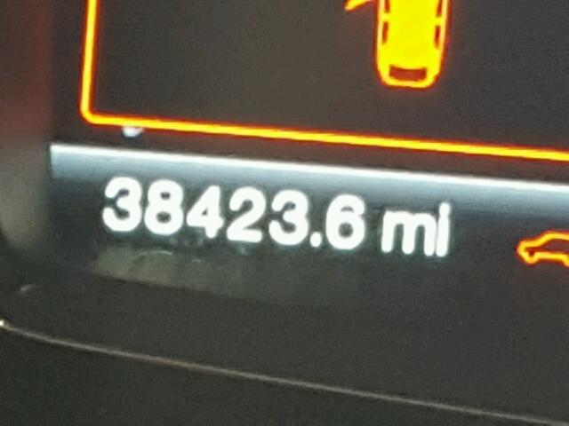
Odometer: 38423.0(ACTUAL)
Primary Damage REAR END
Secondary Damage
Estimate Retail Value 20958.0
Recovery Cost 14537.88
VIN 2LMDJ6JK5DBL30612
Seller
Notes

Vehicle Type AUTOMOBILE
Body Style 4DR SPOR
Color WHITE
Key YES
Drive Front-wheel Drive
Transmission
Fuel GAS
Engine 3.7L 6
Cylinders 6
N Date Auction Participants Auction Type Last Bid Sold Status Buyer Location
1 2017-12-12 18:39:29.0 Old data / Lane - A 761 6600.0 Sold on Approval! LOUISIANA

2. Lot: 42863778

Vehicle Details:

Doc Type CERT OF TITLE-RECONSTRUCTED (P)
Car Status RUNS AND DRIVES
Odometer: 47961.0(ACTUAL)
Primary Damage MINOR DENT/SCRATCHES
Secondary Damage
Estimate Retail Value 17500.0
Recovery Cost 0.0
VIN 2LMDJ6JK5DBL30612
Seller
Notes

Vehicle Type AUTOMOBILE
Body Style 4DR SPOR
Color WHITE
Key YES
Drive Front-wheel Drive
Transmission
Fuel GAS
Engine 3.7L 6
Cylinders 6
N Date Auction Participants Auction Type Last Bid Sold Status Buyer Location
1 2018-09-18 17:43:35.0 LA - Baton Rouge / Lane - A 1971 7100.0 Sold on Approval! TENNESSEE
2 2018-09-11 19:01:12.0 LA - Baton Rouge / Lane - A 4355 6000.0 Sold on Approval! LOUISIANA
3 2018-09-07 01:02:22.0 *NCS - Central Region / Lane - B 672 5200.0 Sold on Approval! OREGON
4 2018-09-04 17:14:45.0 LA - Baton Rouge / Lane - A 1387 5100.0 Sold on Approval! OREGON

3. Lot: 55984688

Vehicle Details:

Doc Type CERT OF TITLE - REBUILT VEHICL
Car Status RUNS AND DRIVES
Odometer: 53710.0(ACTUAL)
Primary Damage MINOR DENT/SCRATCHES
Secondary Damage
Estimate Retail Value 13869.0
Recovery Cost 0.0
VIN 2LMDJ6JK5DBL30612
Seller
Notes

Vehicle Type AUTOMOBILE
Body Style 4DR SPOR
Color WHITE
Key YES
Drive Front-wheel Drive
Transmission
Fuel GAS
Engine 3.7L 6
Cylinders 6
N Date Auction Participants Auction Type Last Bid Sold Status Buyer Location
1 2019-01-22 18:43:51.0 GA - Atlanta North / Lane - A 1126 5100.0 Sold on Approval! LOUISIANA


Another Lots with same model and same damage

2011 LINCOLN MKX

2011 LINCOLN MKX,

Sold! Odometer: 114970.0(ACTUAL) +
Damage: FRONT END/REAR END

View Auction History

2011 LINCOLN MKX

2011 LINCOLN MKX,

Sold! Odometer: 165983.0(ACTUAL) +
Damage: REAR END/

View Auction History

2011 LINCOLN MKX

2011 LINCOLN MKX,

Sold on Approval! Odometer: 128510.0(ACTUAL) +
Damage: FRONT END/REAR END

View Auction History

2013 LINCOLN MKX

2013 LINCOLN MKX,

Sold! Odometer: 105425.0(ACTUAL) +
Damage: REAR END/

View Auction History

2011 LINCOLN MKX

2011 LINCOLN MKX,

Sold on Approval! Odometer: 211571.0(ACTUAL) +
Damage: FRONT END/REAR END

View Auction History

2011 LINCOLN MKX

2011 LINCOLN MKX,

Sold on Approval! Odometer: 124371.0(ACTUAL) +
Damage: REAR END/

View Auction History

Random auction lots from previous week