Ready To Find Your Car

Cars Bids History

Find daily updates from Copart auctions

2014 BUICK REGAL RED, 2G4GK5EX6E9299868

1. Lot: 36751558

Vehicle Details:

Doc Type SALVAGE VEHICLE TITLE
Car Status RUNS AND DRIVES
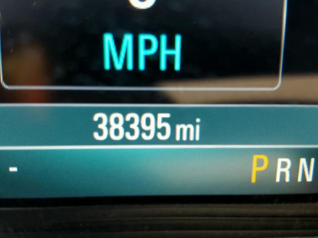
Odometer: 38395.0(ACTUAL)
Primary Damage FRONT END
Secondary Damage MINOR DENT/SCRATCHES
Estimate Retail Value 12902.84
Recovery Cost 9373.23
VIN 2G4GK5EX6E9299868
Seller
Notes

Vehicle Type AUTOMOBILE
Body Style SEDAN 4D
Color RED
Key YES
Drive Front-wheel Drive
Transmission
Fuel GAS
Engine 2.0L 4
Cylinders 4
N Date Auction Participants Auction Type Last Bid Sold Status Buyer Location
1 2018-07-20 18:24:29.0 Asheville / Lane - A 3020 3550.0 Sold! TEXAS


Another Lots with same model and same damage

2015 BUICK REGAL

2015 BUICK REGAL,

Sold! Odometer: 92146.0(ACTUAL) +
Damage: FRONT END/

View Auction History

2015 BUICK REGAL

2015 BUICK REGAL,

Sold! Odometer: 144119.0(ACTUAL) +
Damage: FRONT END/

View Auction History

2014 BUICK REGAL

2014 BUICK REGAL,

Sold! Odometer: 240521.0(ACTUAL) +
Damage: FRONT END/

View Auction History

2014 BUICK REGAL

2014 BUICK REGAL,

Sold! Odometer: 0.0(NOT ACTUAL) +
Damage: FRONT END/MINOR DENT/SCRATCHES

View Auction History

2015 BUICK REGAL

2015 BUICK REGAL,

Sold on Approval! Odometer: 305820.0(ACTUAL) +
Damage: FRONT END/SIDE

View Auction History

Random auction lots from previous week