Ready To Find Your Car
Find daily updates from Copart auctions
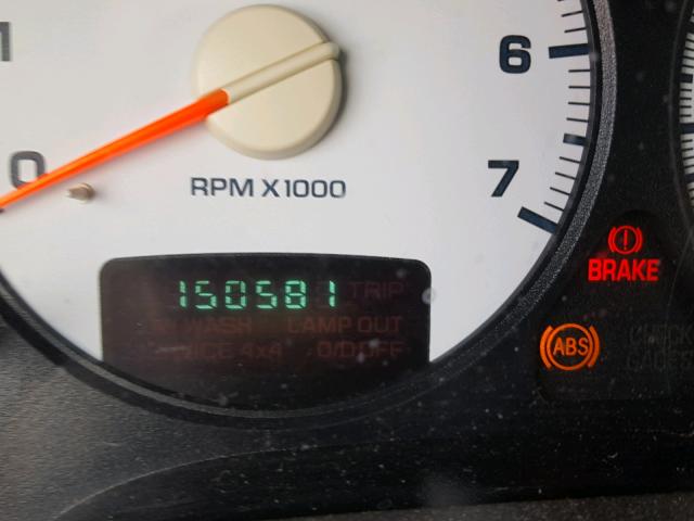
1. Lot: 33596128
| Doc Type | CERTIFICATE OF TITLE |
| Car Status | RUNS AND DRIVES |
| Odometer: | 150581.0(EXEMPT) |
| Primary Damage | MINOR DENT/SCRATCHES |
| Secondary Damage | MECHANICAL |
| Estimate Retail Value | 8500.0 |
| Recovery Cost | 0.0 |
| VIN | 3D7KU28D73G724127 |
| Seller | |
| Notes | WATER IN OIL |
|
|
|
| Vehicle Type | AUTOMOBILE |
| Body Style | CREW PIC |
| Color | GRAY |
| Key | YES |
| Drive | 4x4 w/Rear Wheel Drv |
| Transmission | |
| Fuel | GAS |
| Engine | 5.7L 8 |
| Cylinders | 8 |
| N | Date | Auction | Participants | Auction Type | Last Bid | Sold Status | Buyer Location |
|---|---|---|---|---|---|---|---|
| 1 | 2018-06-14 19:24:59.0 | Dayton / Lane - A | 496 | 1000.0 | Sold on Approval! | Starting Bid | |
| 2 | 2018-06-07 20:09:15.0 | Denver / Lane - B | 1325 | 1550.0 | Sold on Approval! | NEVADA |
2. Lot: 38144698
| Doc Type | CERTIFICATE OF TITLE |
| Car Status | RUNS AND DRIVES |
| Odometer: | 150581.0(EXEMPT) |
| Primary Damage | MINOR DENT/SCRATCHES |
| Secondary Damage | DAMAGE HISTORY |
| Estimate Retail Value | 0.0 |
| Recovery Cost | 0.0 |
| VIN | 3D7KU28D73G724127 |
| Seller | |
| Notes | |
|
|
|
| Vehicle Type | AUTOMOBILE |
| Body Style | CREW PIC |
| Color | GRAY |
| Key | YES |
| Drive | 4x4 w/Rear Wheel Drv |
| Transmission | |
| Fuel | GAS |
| Engine | 5.7L 8 |
| Cylinders | 8 |
| N | Date | Auction | Participants | Auction Type | Last Bid | Sold Status | Buyer Location |
|---|---|---|---|---|---|---|---|
| 1 | 2018-07-24 01:35:09.0 | Houston / Lane - D | 1259 | 1650.0 | Sold on Approval! | Starting Bid | |
| 2 | 2018-07-12 20:22:31.0 | Omaha / Lane - A | 1408 | 1350.0 | Sold on Approval! | UTAH | |
| 3 | 2018-07-05 19:54:44.0 | Fresno / Lane - B | 920 | 1750.0 | Sold on Approval! | UTAH |