Ready To Find Your Car
Find daily updates from Copart auctions
1. Lot: 0059703252
| Doc Type | SALVAGE CERTIFICATE OF TITLE |
| Car Status | RUNS AND DRIVES |
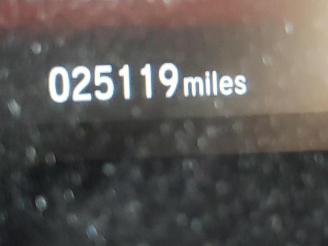
| Odometer: | 25119.0(ACTUAL) |
| Primary Damage | ALL OVER |
| Secondary Damage | |
| Estimate Retail Value | 29181.0 |
| Recovery Cost | 21272.0 |
| VIN | 2HGFC2F87LH554826 |
| Seller | |
| Notes | |
|
|
|
| Vehicle Type | AUTOMOBILE |
| Body Style | |
| Color | SILVER |
| Key | YES |
| Drive | Front-wheel Drive |
| Transmission | AUTOMATIC |
| Fuel | GAS |
| Engine | 2.0L 4 |
| Cylinders | 4 |
| N | Date | Auction | Participants | Auction Type | Last Bid | Sold Status | Buyer Location |
|---|---|---|---|---|---|---|---|
| 1 | 2022-11-09 18:00:00.0 | MO - Springfield / Lane - A | 2800.0 | Sold! | TNUSA |