2019 HONDA CIVIC SPOR
Sold! Odometer: 88993.0(ACTUAL) +
Damage: REAR END/FRAME DAMAGE
Ready To Find Your Car
Find daily updates from Copart auctions
1. Lot: 0057680302
| Doc Type | SALVAGE CERTIFICATE |
| Car Status | RUNS AND DRIVES |
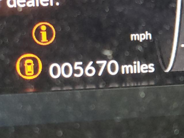
| Odometer: | 5670.0(ACTUAL) |
| Primary Damage | REAR END |
| Secondary Damage | MINOR DENT/SCRATCHES |
| Estimate Retail Value | 36848.0 |
| Recovery Cost | 28549.0 |
| VIN | 19XFL1H84NE009123 |
| Seller | |
| Notes | |
|
|
|
| Vehicle Type | AUTOMOBILE |
| Body Style | |
| Color | BLACK |
| Key | YES |
| Drive | Front-wheel Drive |
| Transmission | AUTOMATIC |
| Fuel | GAS |
| Engine | 1.5L 4 |
| Cylinders | 4 |
| N | Date | Auction | Participants | Auction Type | Last Bid | Sold Status | Buyer Location |
|---|---|---|---|---|---|---|---|
| 1 | 2022-10-14 19:00:00.0 | CA - Redding / Lane - A | 12000.0 | Sold on Approval! | DGMEX |
Sold! Odometer: 88993.0(ACTUAL) +
Damage: REAR END/FRAME DAMAGE