Ready To Find Your Car

Cars Bids History

Find daily updates from Copart auctions

2018 INFINITI QX30 BASE SILVER, SJKCH5CP2JA052413

1. Lot: 0064453992

Vehicle Details:

Doc Type SALVAGE CERTIFICATE
Car Status
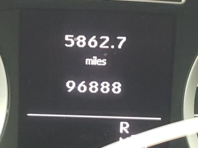
Odometer: 96888.0(ACTUAL)
Primary Damage FRONT END
Secondary Damage
Estimate Retail Value 20271.82
Recovery Cost 19260.22
VIN SJKCH5CP2JA052413
Seller Progressive
Notes

Vehicle Type AUTOMOBILE
Body Style
Color SILVER
Key YES
Drive Front-wheel Drive
Transmission AUTOMATIC
Fuel GAS
Engine 2.0L 4
Cylinders 4
N Date Auction Participants Auction Type Last Bid Sold Status Buyer Location
1 2022-12-23 18:00:00.0 TN - Nashville / Lane - B 4750.0 Sold on Approval! GEGEO
2 2022-12-19 18:00:00.0 TN - Nashville / Lane - C 3750.0 Sold on Approval! UAUKR


Another Lots with same model and same damage

2018 INFINITI QX30 BASE

2018 INFINITI QX30 BASE,

Sold! Odometer: 82812.0(ACTUAL) +
Damage: FRONT END/REAR END

View Auction History

2017 INFINITI QX30 BASE

2017 INFINITI QX30 BASE,

Sold! Odometer: 76651.0(ACTUAL) +
Damage: FRONT END/REAR END

View Auction History

2017 INFINITI QX30 BASE

2017 INFINITI QX30 BASE,

Sold! Odometer: 129396.0(ACTUAL) +
Damage: FRONT END/

View Auction History

2017 INFINITI QX30 BASE

2017 INFINITI QX30 BASE,

Sold! Odometer: 101472.0(ACTUAL) +
Damage: FRONT END/SIDE

View Auction History

2017 INFINITI QX30 BASE

2017 INFINITI QX30 BASE,

Sold! Odometer: 85084.0(ACTUAL) +
Damage: FRONT END/

View Auction History

2017 INFINITI QX30 BASE

2017 INFINITI QX30 BASE,

Sold! Odometer: 126680.0(ACTUAL) +
Damage: FRONT END/

View Auction History

Random auction lots from previous week