Ready To Find Your Car
Find daily updates from Copart auctions
1. Lot: 23367799
| Doc Type | CERT OF TITLE SLVG REBUILDABLE |
| Car Status | RUNS AND DRIVES |
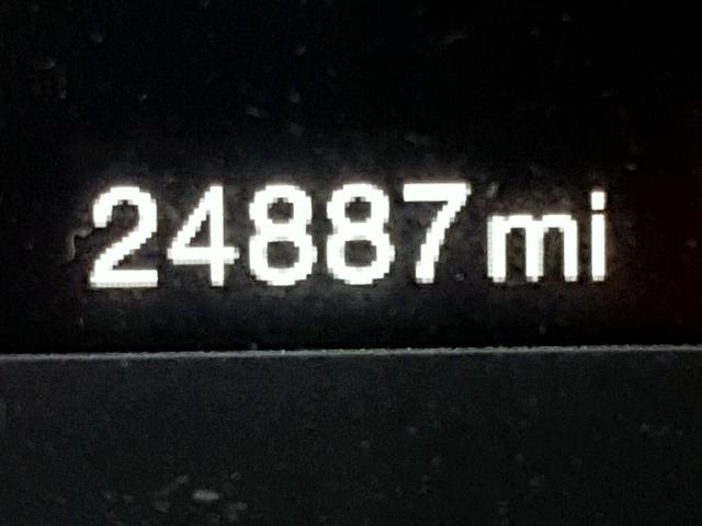
| Odometer: | 24887.0(ACTUAL) |
| Primary Damage | SIDE |
| Secondary Damage | |
| Estimate Retail Value | 15434.0 |
| Recovery Cost | 9463.88 |
| VIN | ZACCJBAT2FPC21374 |
| Seller | USAA |
| Notes | |
|
|
|
| Vehicle Type | AUTOMOBILE |
| Body Style | 4DR SPOR |
| Color | ORANGE |
| Key | YES |
| Drive | 4x4 w/Front Whl Drv |
| Transmission | |
| Fuel | GAS |
| Engine | 2.4L 4 |
| Cylinders | 4 |
| N | Date | Auction | Participants | Auction Type | Last Bid | Sold Status | Buyer Location |
|---|---|---|---|---|---|---|---|
| 1 | 2019-04-05 20:15:26.0 | CA - San Diego / Lane - E | 3049 | 4650.0 | Sold! | MEXICO |