Ready To Find Your Car
Find daily updates from Copart auctions
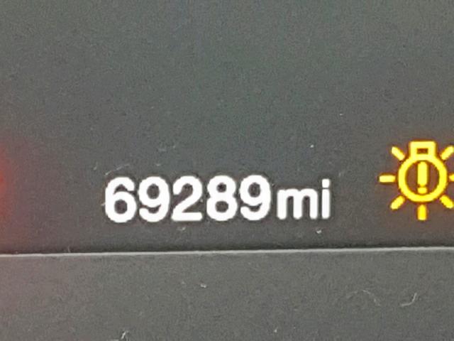
1. Lot: 42129719
| Doc Type | SALVAGE CERTIFICATE |
| Car Status | RUNS AND DRIVES |
| Odometer: | 69289.0(ACTUAL) |
| Primary Damage | REAR END |
| Secondary Damage | |
| Estimate Retail Value | 14430.0 |
| Recovery Cost | 0.0 |
| VIN | ZACCJAAT2FPB41387 |
| Seller | State Farm Insurance |
| Notes | |
|
|
|
| Vehicle Type | AUTOMOBILE |
| Body Style | 4DR SPOR |
| Color | ORANGE |
| Key | YES |
| Drive | Front-wheel Drive |
| Transmission | |
| Fuel | GAS |
| Engine | 2.4L 4 |
| Cylinders | 4 |
| N | Date | Auction | Participants | Auction Type | Last Bid | Sold Status | Buyer Location |
|---|---|---|---|---|---|---|---|
| 1 | 2019-09-12 17:04:38.0 | IL - Chicago North / Lane - C | 570 | 4000.0 | Sold! | MINNESOTA |