Ready To Find Your Car
Find daily updates from Copart auctions
1. Lot: 57061118
| Doc Type | CERT OF TITLE - SALVAGE |
| Car Status | ENHANCED VEHICLES |
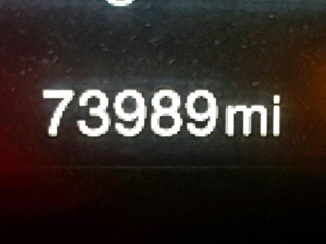
| Odometer: | 73989.0(ACTUAL) |
| Primary Damage | FRONT END |
| Secondary Damage | |
| Estimate Retail Value | 14101.0 |
| Recovery Cost | 14387.22 |
| VIN | ZACCJBAT6GPC59224 |
| Seller | |
| Notes | |
|
|
|
| Vehicle Type | AUTOMOBILE |
| Body Style | 4DR SPOR |
| Color | RED |
| Key | YES |
| Drive | 4x4 w/Front Whl Drv |
| Transmission | |
| Fuel | GAS |
| Engine | 2.4L 4 |
| Cylinders | 4 |
| N | Date | Auction | Participants | Auction Type | Last Bid | Sold Status | Buyer Location |
|---|---|---|---|---|---|---|---|
| 1 | 2019-04-18 14:55:42.0 | Specialty Sale / Lane - B | 617 | 2700.0 | Sold! | TEXAS |