Ready To Find Your Car
Find daily updates from Copart auctions
1. Lot: 40602118
| Doc Type | SALVAGE CERTIFICATE |
| Car Status | RUNS AND DRIVES |
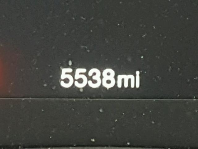
| Odometer: | 5538.0(ACTUAL) |
| Primary Damage | FRONT END |
| Secondary Damage | |
| Estimate Retail Value | 20070.0 |
| Recovery Cost | 18960.03 |
| VIN | ZACCJBAB2JPH19414 |
| Seller | State Farm Insurance |
| Notes | |
|
|
|
| Vehicle Type | AUTOMOBILE |
| Body Style | |
| Color | WHITE |
| Key | YES |
| Drive | 4x4 w/Front Whl Drv |
| Transmission | |
| Fuel | GAS |
| Engine | 2.4L 4 |
| Cylinders | 4 |
| N | Date | Auction | Participants | Auction Type | Last Bid | Sold Status | Buyer Location |
|---|---|---|---|---|---|---|---|
| 1 | 2019-01-03 18:33:30.0 | SC - North Charleston / Lane - A | 1588 | 6700.0 | Sold! | Starting Bid |