Ready To Find Your Car

Cars Bids History

Find daily updates from Copart auctions

2003 MAZDA TRIBUTE ES BLACK, 4F2CZ06103KM32776

1. Lot: 24487008

Vehicle Details:

Doc Type CERT OF TITLE-SALVAGE NON-REM
Car Status RUNS AND DRIVES
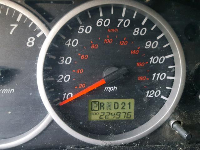
Odometer: 224976.0(EXEMPT)
Primary Damage REAR END
Secondary Damage FRONT END
Estimate Retail Value 3102.0
Recovery Cost 4290.96
VIN 4F2CZ06103KM32776
Seller State Farm Insurance
Notes VEH LOC @ STH GASTON SUBLOT

Vehicle Type AUTOMOBILE
Body Style 4DR SPOR
Color BLACK
Key YES
Drive Front-wheel Drive
Transmission Automatic
Fuel GAS
Engine 3.0L 6
Cylinders 6
N Date Auction Participants Auction Type Last Bid Sold Status Buyer Location
1 2018-09-07 15:50:00.0 SC - Columbia / Lane - B 1926 300.0 Sold on Approval! MEXICO


Another Lots with same model and same damage

2003 MAZDA TRIBUTE ES

2003 MAZDA TRIBUTE ES,

Sold on Approval! Odometer: 337275.0(EXEMPT) +
Damage: REAR END/

View Auction History

2003 MAZDA TRIBUTE ES

2003 MAZDA TRIBUTE ES,

Sold! Odometer: 337275.0(EXEMPT) +
Damage: REAR END/

View Auction History

2003 MAZDA TRIBUTE ES

2003 MAZDA TRIBUTE ES,

Sold on Approval! Odometer: 102867.0(ACTUAL) +
Damage: REAR END/FRONT END

View Auction History

2003 MAZDA TRIBUTE ES

2003 MAZDA TRIBUTE ES,

Sold on Approval! Odometer: 102867.0(ACTUAL) +
Damage: REAR END/FRONT END

View Auction History

Random auction lots from previous week