Ready To Find Your Car
Find daily updates from Copart auctions
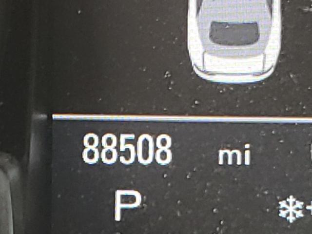
1. Lot: 0065350372
| Doc Type | CERT OF SALVAGE-W=FLOOD VEH |
| Car Status | RUNS AND DRIVES |
| Odometer: | 88508.0(ACTUAL) |
| Primary Damage | WATER/FLOOD |
| Secondary Damage | |
| Estimate Retail Value | 21000.0 |
| Recovery Cost | 23228.05 |
| VIN | WAUVGAFH9BN013806 |
| Seller | |
| Notes | |
|
|
|
| Vehicle Type | AUTOMOBILE |
| Body Style | |
| Color | BLACK |
| Key | YES |
| Drive | All wheel drive |
| Transmission | AUTOMATIC |
| Fuel | GAS |
| Engine | 3.0L 6 |
| Cylinders | 6 |
| N | Date | Auction | Participants | Auction Type | Last Bid | Sold Status | Buyer Location |
|---|---|---|---|---|---|---|---|
| 1 | 2022-11-16 15:00:00.0 | PA - Pittsburgh West / Lane - C | 5900.0 | Sold! | OHUSA |