Ready To Find Your Car

Cars Bids History

Find daily updates from Copart auctions

2008 TOYOTA SCION TC SILVER, JTKDE167280234609

1. Lot: 0067319482

Vehicle Details:

Doc Type CERTIFICATE OF TITLE
Car Status RUNS AND DRIVES
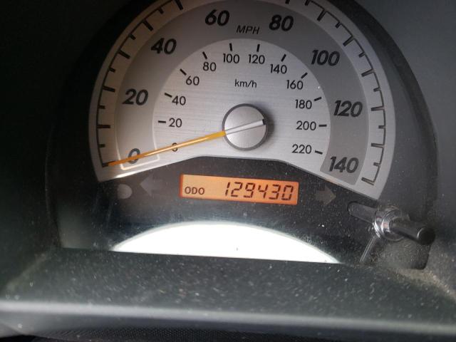
Odometer: 129430.0(ACTUAL)
Primary Damage FRONT END
Secondary Damage
Estimate Retail Value 7277.0
Recovery Cost 5219.74
VIN JTKDE167280234609
Seller
Notes

Vehicle Type AUTOMOBILE
Body Style
Color SILVER
Key YES
Drive Front-wheel Drive
Transmission AUTOMATIC
Fuel GAS
Engine 2.4L 4
Cylinders 4
N Date Auction Participants Auction Type Last Bid Sold Status Buyer Location
1 2022-12-20 18:00:00.0 WI - Madison South / Lane - A 450.0 Sold! TNUSA


Another Lots with same model and same damage

2011 TOYOTA SCION TC

2011 TOYOTA SCION TC,

Sold! Odometer: 230106.0(ACTUAL) +
Damage: FRONT END/MINOR DENT/SCRATCHES

View Auction History

2008 TOYOTA SCION TC

2008 TOYOTA SCION TC,

Sold on Approval! Odometer: 94683.0(ACTUAL) +
Damage: FRONT END/

View Auction History

2006 TOYOTA SCION TC

2006 TOYOTA SCION TC,

Sold! Odometer: 115914.0(ACTUAL) +
Damage: FRONT END/

View Auction History

2013 TOYOTA SCION TC

2013 TOYOTA SCION TC,

Sold on Approval! Odometer: 139330.0(NOT ACTUAL) +
Damage: REAR END/FRONT END

View Auction History

2013 TOYOTA SCION TC

2013 TOYOTA SCION TC,

Sold! Odometer: 0.0(NOT ACTUAL) +
Damage: FRONT END/

View Auction History

2008 TOYOTA SCION TC

2008 TOYOTA SCION TC,

Sold! Odometer: 171584.0(EXEMPT) +
Damage: FRONT END/REAR END

View Auction History

Random auction lots from previous week