Ready To Find Your Car
Find daily updates from Copart auctions
1. Lot: 46372908
| Doc Type | CERTIFICATE OF DESTRUCTION |
| Car Status | ENHANCED VEHICLES |
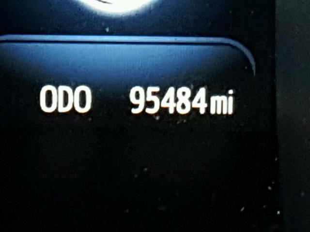
| Odometer: | 95484.0(ACTUAL) |
| Primary Damage | FRONT END |
| Secondary Damage | MINOR DENT/SCRATCHES |
| Estimate Retail Value | 11991.0 |
| Recovery Cost | 14413.5 |
| VIN | 4T1BK1EB7DU072102 |
| Seller | |
| Notes | |
|
|
|
| Vehicle Type | AUTOMOBILE |
| Body Style | SEDAN 4D |
| Color | BEIGE |
| Key | YES |
| Drive | Front-wheel Drive |
| Transmission | |
| Fuel | GAS |
| Engine | 3.5L 6 |
| Cylinders | 6 |
| N | Date | Auction | Participants | Auction Type | Last Bid | Sold Status | Buyer Location |
|---|---|---|---|---|---|---|---|
| 1 | 2018-10-05 14:41:38.0 | NV - Las Vegas / Lane - B | 1931 | 4700.0 | Sold! | FLORIDA |