Ready To Find Your Car

Cars Bids History

Find daily updates from Copart auctions

2015 BMW 740 LXI WHITE, WBAYF4C51FD873951

1. Lot: 24471249

Vehicle Details:

Doc Type BILL OF SALE
Car Status ENHANCED VEHICLES
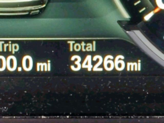
Odometer: 34266.0(ACTUAL)
Primary Damage FRONT END
Secondary Damage
Estimate Retail Value 37705.45
Recovery Cost 37900.33
VIN WBAYF4C51FD873951
Seller
Notes

Vehicle Type AUTOMOBILE
Body Style SEDAN 4D
Color WHITE
Key YES
Drive All wheel drive
Transmission
Fuel GAS
Engine 3.0L 6
Cylinders 6
N Date Auction Participants Auction Type Last Bid Sold Status Buyer Location
1 2019-02-04 20:13:55.0 WA - North Seattle / Lane - C 574 6800.0 Sold! GEORGIA


Another Lots with same model and same damage

2013 BMW 740 LXI

2013 BMW 740 LXI,

Sold! Odometer: 142170.0(ACTUAL) +
Damage: FRONT END/

View Auction History

2013 BMW 740 LXI

2013 BMW 740 LXI,

Sold! Odometer: 198801.0(ACTUAL) +
Damage: FRONT END/

View Auction History

2014 BMW 740 LXI

2014 BMW 740 LXI,

Sold! Odometer: 104880.0(ACTUAL) +
Damage: FRONT END/REAR END

View Auction History

2013 BMW 740 LXI

2013 BMW 740 LXI,

Sold on Approval! Odometer: 46859.0(ACTUAL) +
Damage: FRONT END/

View Auction History

Random auction lots from previous week