Ready To Find Your Car

Cars Bids History

Find daily updates from Copart auctions

2012 BUICK REGAL WHITE, 2G4GR5EK8C9176246

1. Lot: 30219858

Vehicle Details:

Doc Type CERT OF TITLE-SALVAGE VEHICLE
Car Status ENGINE START PROGRAM
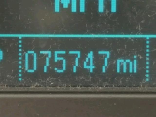
Odometer: 75747.0(ACTUAL)
Primary Damage REAR END
Secondary Damage UNDERCARRIAGE
Estimate Retail Value 8793.0
Recovery Cost 6572.0
VIN 2G4GR5EK8C9176246
Seller
Notes

Vehicle Type AUTOMOBILE
Body Style SEDAN 4D
Color WHITE
Key YES
Drive Front-wheel Drive
Transmission
Fuel FLEXIBLE FUEL
Engine 2.4L 4
Cylinders 4
N Date Auction Participants Auction Type Last Bid Sold Status Buyer Location
1 2018-04-20 18:00:10.0 Phoenix / Lane - B 444 2550.0 Sold on Approval! WISCONSIN


Another Lots with same model and same damage

2016 BUICK REGAL

2016 BUICK REGAL,

Sold on Approval! Odometer: 117444.0(ACTUAL) +
Damage: REAR END/FRONT END

View Auction History

2014 BUICK REGAL

2014 BUICK REGAL,

Sold! Odometer: 93219.0(ACTUAL) +
Damage: REAR END/

View Auction History

2015 BUICK REGAL

2015 BUICK REGAL,

Sold! Odometer: 221649.0(ACTUAL) +
Damage: FRONT END/REAR END

View Auction History

2012 BUICK REGAL

2012 BUICK REGAL,

Sold on Approval! Odometer: 108968.0(ACTUAL) +
Damage: REAR END/

View Auction History

2012 BUICK REGAL

2012 BUICK REGAL,

Sold on Approval! Odometer: 158935.0(ACTUAL) +
Damage: UNDERCARRIAGE/REAR END

View Auction History

Random auction lots from previous week