Ready To Find Your Car

Cars Bids History

Find daily updates from Copart auctions

2014 CHEVROLET MALIBU 1LT WHITE, 1G11C5SL7EF202315

1. Lot: 0057823472

Vehicle Details:

Doc Type CERT OF TITLE SLVG REBUILDABLE
Car Status RUNS AND DRIVES
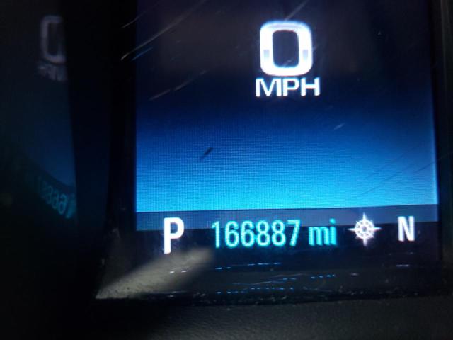
Odometer: 166887.0(ACTUAL)
Primary Damage REAR END
Secondary Damage SIDE
Estimate Retail Value 4914.4
Recovery Cost 11462.85
VIN 1G11C5SL7EF202315
Seller USAA
Notes

Vehicle Type AUTOMOBILE
Body Style
Color WHITE
Key YES
Drive Front-wheel Drive
Transmission AUTOMATIC
Fuel GAS
Engine 2.5L 4
Cylinders 4
N Date Auction Participants Auction Type Last Bid Sold Status Buyer Location
1 2022-10-10 17:00:00.0 AL - Mobile / Lane - A 1500.0 Sold! ALUSA


Another Lots with same model and same damage

2012 CHEVROLET MALIBU 1LT

2012 CHEVROLET MALIBU 1LT,

Sold! Odometer: 167664.0(ACTUAL) +
Damage: REAR END/

View Auction History

2014 CHEVROLET MALIBU 1LT

2014 CHEVROLET MALIBU 1LT,

Sold! Odometer: 113628.0(ACTUAL) +
Damage: REAR END/

View Auction History

2013 CHEVROLET MALIBU 1LT

2013 CHEVROLET MALIBU 1LT,

Sold! Odometer: 0.0(NOT ACTUAL) +
Damage: REAR END/FRONT END

View Auction History

2013 CHEVROLET MALIBU 1LT

2013 CHEVROLET MALIBU 1LT,

Sold! Odometer: 61520.0(ACTUAL) +
Damage: REAR END/

View Auction History

2013 CHEVROLET MALIBU 1LT

2013 CHEVROLET MALIBU 1LT,

Sold! Odometer: 0.0(NOT ACTUAL) +
Damage: REAR END/FRONT END

View Auction History

2010 CHEVROLET MALIBU 1LT

2010 CHEVROLET MALIBU 1LT,

Sold on Approval! Odometer: 117597.0(ACTUAL) +
Damage: REAR END/

View Auction History

Random auction lots from previous week