Ready To Find Your Car

Cars Bids History

Find daily updates from Copart auctions

2017 CHEVROLET MALIBU LS CHARCOAL, 1G1ZB5ST5HF195648

1. Lot: 25503709

Vehicle Details:

Doc Type JUNKED VEHICLE BILL OF SALE
Car Status ENHANCED VEHICLES
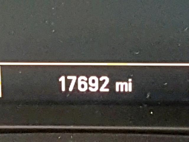
Odometer: 17692.0(ACTUAL)
Primary Damage SIDE
Secondary Damage MECHANICAL
Estimate Retail Value 16108.0
Recovery Cost 20398.85
VIN 1G1ZB5ST5HF195648
Seller State Farm Insurance
Notes

Vehicle Type AUTOMOBILE
Body Style SEDAN 4D
Color CHARCOAL
Key YES
Drive Front-wheel Drive
Transmission
Fuel GAS
Engine 1.5L 4
Cylinders 4
N Date Auction Participants Auction Type Last Bid Sold Status Buyer Location
1 2019-03-11 17:11:18.0 Fort Myers / Lane - A 477 4350.0 Sold! Starting Bid


Another Lots with same model and same damage

2022 CHEVROLET MALIBU LS

2022 CHEVROLET MALIBU LS,

Sold on Approval! Odometer: 108086.0(ACTUAL) +
Damage: FRONT END/SIDE

View Auction History

2017 CHEVROLET MALIBU LS

2017 CHEVROLET MALIBU LS,

Sold on Approval! Odometer: 135365.0(ACTUAL) +
Damage: SIDE/

View Auction History

2023 CHEVROLET MALIBU LS

2023 CHEVROLET MALIBU LS,

Sold! Odometer: 96931.0(ACTUAL) +
Damage: REAR END/SIDE

View Auction History

2019 CHEVROLET MALIBU LS

2019 CHEVROLET MALIBU LS,

Sold! Odometer: 94693.0(ACTUAL) +
Damage: FRONT END/SIDE

View Auction History

2018 CHEVROLET MALIBU LS

2018 CHEVROLET MALIBU LS,

Sold! Odometer: 171257.0(ACTUAL) +
Damage: SIDE/FRONT END

View Auction History

2000 CHEVROLET MALIBU LS

2000 CHEVROLET MALIBU LS,

Sold! Odometer: 122244.0(ACTUAL) +
Damage: FRONT END/SIDE

View Auction History

Random auction lots from previous week