Ready To Find Your Car

Cars Bids History

Find daily updates from Copart auctions

2018 CHEVROLET MALIBU LS GRAY, 1G1ZB5ST0JF168363

1. Lot: 30890869

Vehicle Details:

Doc Type SALVAGE CERTIFICATE
Car Status RUNS AND DRIVES
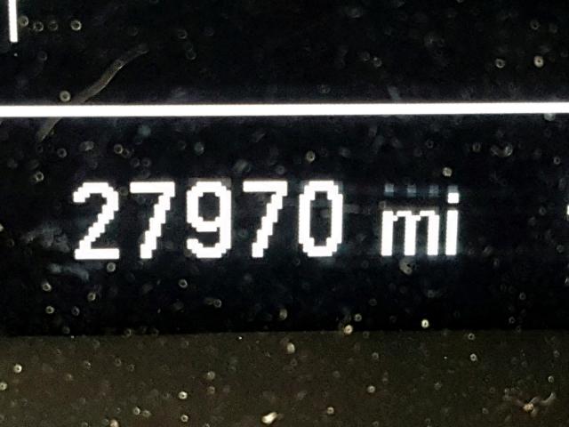
Odometer: 27970.0(ACTUAL)
Primary Damage FRONT END
Secondary Damage MINOR DENT/SCRATCHES
Estimate Retail Value 13371.0
Recovery Cost 10677.73
VIN 1G1ZB5ST0JF168363
Seller Farmers Insurance
Notes

Vehicle Type AUTOMOBILE
Body Style
Color GRAY
Key YES
Drive Front-wheel Drive
Transmission
Fuel GAS
Engine 1.5L 4
Cylinders 4
N Date Auction Participants Auction Type Last Bid Sold Status Buyer Location
1 2019-05-02 19:20:09.0 IL - Chicago North / Lane - D 3112 4600.0 Sold! WISCONSIN


Another Lots with same model and same damage

2020 CHEVROLET MALIBU LS

2020 CHEVROLET MALIBU LS,

Sold! Odometer: 54183.0(ACTUAL) +
Damage: FRONT END/REAR END

View Auction History

2020 CHEVROLET MALIBU LS

2020 CHEVROLET MALIBU LS,

Sold! Odometer: 99395.0(ACTUAL) +
Damage: FRONT END/

View Auction History

2010 CHEVROLET MALIBU LS

2010 CHEVROLET MALIBU LS,

Sold! Odometer: 140860.0(EXEMPT) +
Damage: FRONT END/

View Auction History

2017 CHEVROLET MALIBU LS

2017 CHEVROLET MALIBU LS,

Sold! Odometer: 91165.0(ACTUAL) +
Damage: FRONT END/

View Auction History

2023 CHEVROLET MALIBU LS

2023 CHEVROLET MALIBU LS,

Sold on Approval! Odometer: 51558.0(ACTUAL) +
Damage: FRONT END/HAIL

View Auction History

2017 CHEVROLET MALIBU LS

2017 CHEVROLET MALIBU LS,

Sold on Approval! Odometer: 0.0(NOT ACTUAL) +
Damage: FRONT END/

View Auction History

Random auction lots from previous week