Ready To Find Your Car

Cars Bids History

Find daily updates from Copart auctions

2019 CHEVROLET MALIBU LS BLUE, 1G1ZB5ST7KF105276

1. Lot: 30431759

Vehicle Details:

Doc Type CERT OF TITLE-SALVAGE
Car Status RUNS AND DRIVES
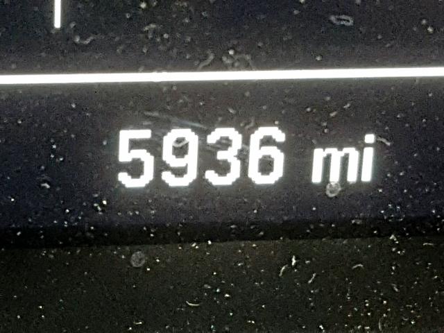
Odometer: 5936.0(ACTUAL)
Primary Damage REAR END
Secondary Damage '
Estimate Retail Value 22079.0
Recovery Cost 11040.87
VIN 1G1ZB5ST7KF105276
Seller '
Notes

Vehicle Type AUTOMOBILE
Body Style '
Color BLUE
Key YES
Drive Front-wheel Drive
Transmission Automatic
Fuel GAS
Engine 1.5L 4
Cylinders 4
N Date Auction Participants Auction Type Last Bid Sold Status Buyer Location
1 2019-05-21 17:25:21.0 NC - Gastonia / Lane - A 1644 6400.0 Sold! LOUISIANA
2 2019-05-17 01:21:48.0 *NCS - Central Region / Lane - A 2061 5700.0 Sold on Approval! TEXAS
3 2019-05-14 18:29:20.0 LA - Baton Rouge / Lane - B 2800 5600.0 Sold on Approval! CALIFORNIA


Another Lots with same model and same damage

2010 CHEVROLET MALIBU LS

2010 CHEVROLET MALIBU LS,

Sold on Approval! Odometer: 107432.0(EXEMPT) +
Damage: REAR END/

View Auction History

2015 CHEVROLET MALIBU LS

2015 CHEVROLET MALIBU LS,

Sold! Odometer: 111214.0(ACTUAL) +
Damage: REAR END/

View Auction History

2016 CHEVROLET MALIBU LS

2016 CHEVROLET MALIBU LS,

Sold! Odometer: 83184.0(ACTUAL) +
Damage: REAR END/

View Auction History

2017 CHEVROLET MALIBU LS

2017 CHEVROLET MALIBU LS,

Sold! Odometer: 147741.0(ACTUAL) +
Damage: REAR END/SIDE

View Auction History

2018 CHEVROLET MALIBU LS

2018 CHEVROLET MALIBU LS,

Sold! Odometer: 121830.0(ACTUAL) +
Damage: REAR END/

View Auction History

2003 CHEVROLET MALIBU LS

2003 CHEVROLET MALIBU LS,

Sold! Odometer: 63864.0(ACTUAL) +
Damage: REAR END/

View Auction History

Random auction lots from previous week