Ready To Find Your Car
Find daily updates from Copart auctions
1. Lot: 24413419
| Doc Type | SALVAGE CERTIFICATE |
| Car Status | ENHANCED VEHICLES |
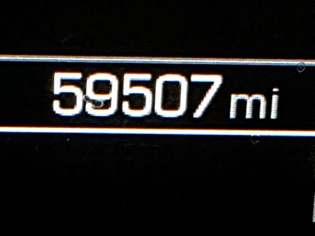
| Odometer: | 59507.0(ACTUAL) |
| Primary Damage | REAR END |
| Secondary Damage | MECHANICAL |
| Estimate Retail Value | 15806.0 |
| Recovery Cost | 5555.36 |
| VIN | 1G1ZH5SX5GF181006 |
| Seller | |
| Notes | |
|
|
|
| Vehicle Type | AUTOMOBILE |
| Body Style | SEDAN 4D |
| Color | BLACK |
| Key | YES |
| Drive | Front-wheel Drive |
| Transmission | |
| Fuel | GAS |
| Engine | 2.0L 4 |
| Cylinders | 4 |
| N | Date | Auction | Participants | Auction Type | Last Bid | Sold Status | Buyer Location |
|---|---|---|---|---|---|---|---|
| 1 | 2019-02-28 18:36:34.0 | TX - Corpus Christi / Lane - A | 812 | 6800.0 | Sold! | IOWA |