Ready To Find Your Car

Cars Bids History

Find daily updates from Copart auctions

2018 CHEVROLET COLORADO ZR2 WHITE, 1GCGTEEN3J1267507

1. Lot: 52996022

Vehicle Details:

Doc Type SALVAGE CERTIFICATE
Car Status Engine Start Program
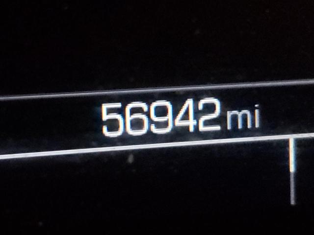
Odometer: 56942.0(ACTUAL)
Primary Damage FRONT END
Secondary Damage
Estimate Retail Value 41554.0
Recovery Cost 24232.6
VIN 1GCGTEEN3J1267507
Seller
Notes

Vehicle Type AUTOMOBILE
Body Style
Color WHITE
Key YES
Drive 4x4 w/Rear Wheel Drv
Transmission AUTOMATIC
Fuel GAS
Engine 3.6L 6
Cylinders 6
N Date Auction Participants Auction Type Last Bid Sold Status Buyer Location
1 2023-12-14 15:00:00.0 WV - Charleston / Lane - B 4500.0 Sold on Approval! NJUSA
2 2023-12-07 15:00:00.0 WV - Charleston / Lane - A 5400.0 Sold on Approval! KYUSA


Another Lots with same model and same damage

2019 CHEVROLET COLORADO ZR2

2019 CHEVROLET COLORADO ZR2,

Sold! Odometer: 42110.0(ACTUAL) +
Damage: FRONT END/REAR END

View Auction History

2018 CHEVROLET COLORADO ZR2

2018 CHEVROLET COLORADO ZR2,

Sold on Approval! Odometer: 0.0(NOT ACTUAL) +
Damage: FRONT END/SIDE

View Auction History

2018 CHEVROLET COLORADO ZR2

2018 CHEVROLET COLORADO ZR2,

Sold! Odometer: 152481.0(ACTUAL) +
Damage: FRONT END/

View Auction History

2019 CHEVROLET COLORADO ZR2

2019 CHEVROLET COLORADO ZR2,

Sold on Approval! Odometer: 131895.0(ACTUAL) +
Damage: FRONT END/SIDE

View Auction History

2022 CHEVROLET COLORADO ZR2

2022 CHEVROLET COLORADO ZR2,

Sold! Odometer: 64889.0(ACTUAL) +
Damage: FRONT END/UNDERCARRIAGE

View Auction History

2019 CHEVROLET COLORADO ZR2

2019 CHEVROLET COLORADO ZR2,

Sold! Odometer: 20327.0(ACTUAL) +
Damage: FRONT END/MINOR DENT/SCRATCHES

View Auction History

Random auction lots from previous week