Ready To Find Your Car
Find daily updates from Copart auctions
1. Lot: 49104748
| Doc Type | CERTIFICATE OF TITLE |
| Car Status | RUNS AND DRIVES |
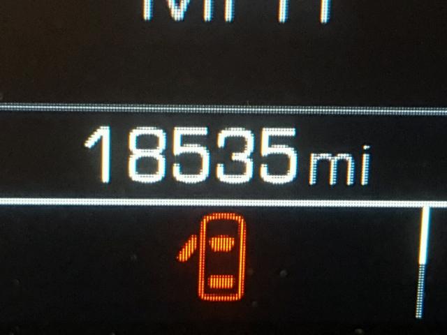
| Odometer: | 18535.0(ACTUAL) |
| Primary Damage | FRONT END |
| Secondary Damage | |
| Estimate Retail Value | 24943.0 |
| Recovery Cost | 14665.7 |
| VIN | 2G1125S33J9145911 |
| Seller | Hertz |
| Notes | |
|
|
|
| Vehicle Type | AUTOMOBILE |
| Body Style | |
| Color | GRAY |
| Key | YES |
| Drive | Front-wheel Drive |
| Transmission | |
| Fuel | GAS |
| Engine | 3.6L 6 |
| Cylinders | 6 |
| N | Date | Auction | Participants | Auction Type | Last Bid | Sold Status | Buyer Location |
|---|---|---|---|---|---|---|---|
| 1 | 2018-11-02 15:39:41.0 | WI - Milwaukee South / Lane - B | 4474 | 9700.0 | Sold on Approval! | FLORIDA |