Ready To Find Your Car
Find daily updates from Copart auctions
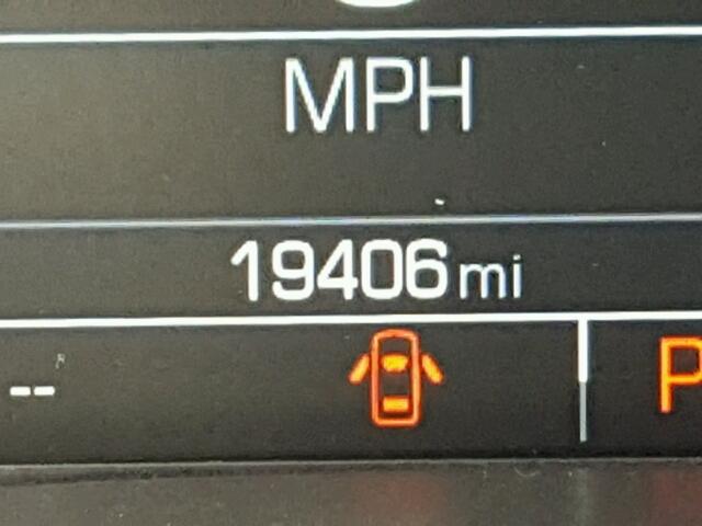
1. Lot: 31420108
| Doc Type | SALVAGE VEHICLE TITLE |
| Car Status | ENGINE START PROGRAM |
| Odometer: | 19406.0(ACTUAL) |
| Primary Damage | SIDE |
| Secondary Damage | |
| Estimate Retail Value | 31491.0 |
| Recovery Cost | 20328.71 |
| VIN | 1GCGTCE35G1245519 |
| Seller | State Farm Insurance |
| Notes | |
|
|
|
| Vehicle Type | AUTOMOBILE |
| Body Style | CREW PIC |
| Color | BLACK |
| Key | YES |
| Drive | 4x4 w/Rear Wheel Drv |
| Transmission | |
| Fuel | GAS |
| Engine | 3.6L 6 |
| Cylinders | 6 |
| N | Date | Auction | Participants | Auction Type | Last Bid | Sold Status | Buyer Location |
|---|---|---|---|---|---|---|---|
| 1 | 2018-06-28 19:25:50.0 | Northern Virginia / Lane - A | 1756 | 9900.0 | Sold! | TEXAS |
2. Lot: 39689708
| Doc Type | SALVAGE VEHICLE TITLE |
| Car Status | RUNS AND DRIVES |
| Odometer: | 19406.0(ACTUAL) |
| Primary Damage | FRONT END |
| Secondary Damage | SIDE |
| Estimate Retail Value | 31491.0 |
| Recovery Cost | 0.0 |
| VIN | 1GCGTCE35G1245519 |
| Seller | |
| Notes | |
|
|
|
| Vehicle Type | AUTOMOBILE |
| Body Style | CREW PIC |
| Color | BLACK |
| Key | YES |
| Drive | 4x4 w/Rear Wheel Drv |
| Transmission | |
| Fuel | GAS |
| Engine | 3.6L 6 |
| Cylinders | 6 |
| N | Date | Auction | Participants | Auction Type | Last Bid | Sold Status | Buyer Location |
|---|---|---|---|---|---|---|---|
| 1 | 2018-08-03 19:07:02.0 | LA - Baton Rouge / Lane - B | 5184 | 11500.0 | Sold on Approval! | TEXAS | |
| 2 | 2018-07-20 17:20:32.0 | Richmond / Lane - A | 1101 | 10400.0 | Sold on Approval! | TEXAS |