Ready To Find Your Car
Find daily updates from Copart auctions
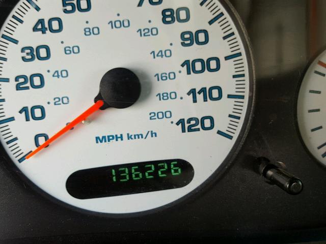
1. Lot: 34578238
| Doc Type | SALVAGE CERTIFICATE |
| Car Status | ENHANCED VEHICLES |
| Odometer: | 136226.0(EXEMPT) |
| Primary Damage | REAR END |
| Secondary Damage | |
| Estimate Retail Value | 2409.0 |
| Recovery Cost | 4296.31 |
| VIN | 2B3HD46R41H632874 |
| Seller | |
| Notes | |
|
|
|
| Vehicle Type | AUTOMOBILE |
| Body Style | SEDAN 4D |
| Color | SILVER |
| Key | YES |
| Drive | Front-wheel Drive |
| Transmission | |
| Fuel | GAS |
| Engine | 2.7L 6 |
| Cylinders | 6 |
| N | Date | Auction | Participants | Auction Type | Last Bid | Sold Status | Buyer Location |
|---|---|---|---|---|---|---|---|
| 1 | 2018-08-30 20:27:10.0 | FL - Punta Gorda South / Lane - A | 2856 | 175.0 | Sold on Approval! | CALIFORNIA | |
| 2 | 2018-08-23 19:52:19.0 | MD - Baltimore / Lane - A | 1856 | 100.0 | Sold on Approval! | CALIFORNIA |